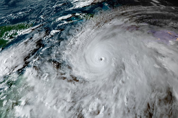
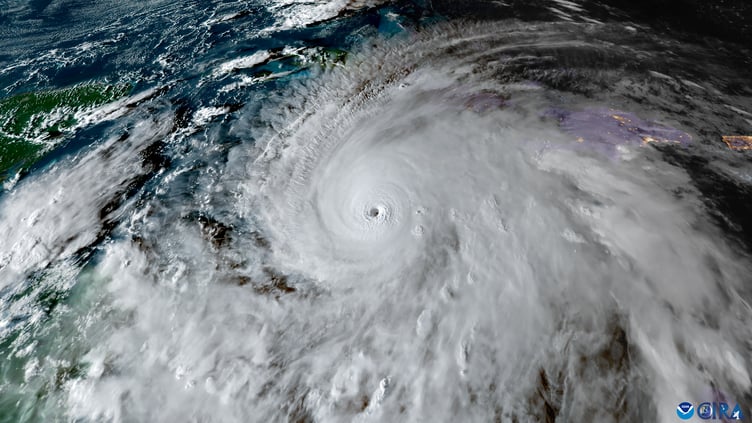
LETTER TO THE EDITOR: Many readers will have seen the utter devastation wrought by Hurricane Melissa across multiple island nations in the Caribbean - like Jamaica, Haiti, and Cuba. It’s left families without homes and in urgent need of support.
At the disaster relief charity ShelterBox, we're sending an emergency response team to the region. Communication networks are widely affected, so having a team in Jamaica will make it easier to understand the true extent of the damage and what people need as well as continuing co-ordination with humanitarian partners and Rotary in the Caribbean.
ShelterBox specialises in emergency shelter and having aid pre-positioned means we're ready to go in these moments. We have emergency shelter supplies - like tents and tarpaulins - stored in Barbados and Panama, enough to support up to 10,000 people. These include essentials like blankets, water carriers, mosquito nets, and solar lights.
Being ready for disasters like this is vital and it's only possible with the support of people in our local communities. Just before this hurricane season, we opened a new aid hub in Barbados to boost our readiness. It followed our response in the Caribbean last year to Hurricane Beryl, where we supported thousands of people in Grenada with shelter and essential items.
Right now, we've launched an urgent appeal to support people affected by Hurricane Melissa and other disasters. It can be hard to know how to support after disasters of this scale, but every donation - however small - makes a real difference to disaster affected communities.
Dave Raybould, Head of Emergency Responses, ShelterBox





Comments
This article has no comments yet. Be the first to leave a comment.